Commercial Land for ARDEN FOREST, UNIT 3, TRA
ARDEN FOREST, UNIT 3, TRABasics
- Date added: Added 4 months ago
- Category: Land Only
- Currency: BSD
- Island: Grand Bahama/Freeport
- Sale or Rent: For Sale Only
- Date Listed: 2026-01-19T00:00:00
- MLS ID: 65568
Description
-
Description:
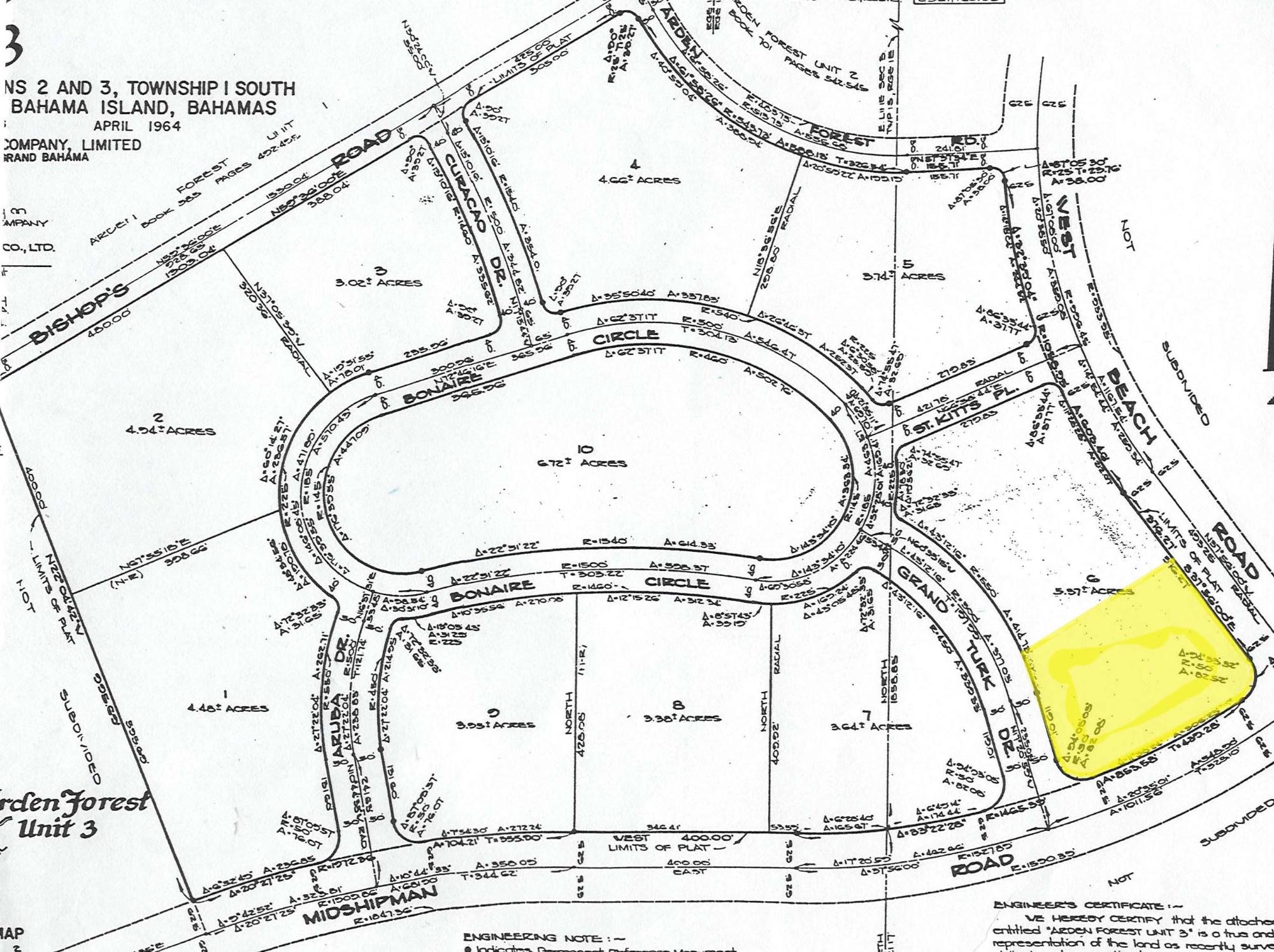
Prime 1.9-acre commercial parcel located in the highly visible Arden Forest area at the corner of Midshipman Road and West Beach Road. This property offers direct highway access, making it ideal for retail, mixed-use, or other commercial development. Strategically positioned adjacent to the former Sawyers Super Center, the site benefits from strong traffic flow and excellent exposure. With commercial zoning already in place, this property presents an outstanding opportunity for investors or developers seeking a well-located parcel in a growing area. Key Features: 1.9 acres of commercially zoned land Prime location at Midshipman & West Beach Road Direct highway access Adjacent to the former Sawyers Super Center High visibility and strong development potential An excellent opportunity to secure a centrally located commercial site with exceptional access and visibility.
Show all description
Location
Amenities & Features
- Amenities:
Miscellaneous
- Legal Description: Arden Forest, Unit 3, Tract 6, Freeport Grand Bahama
